The Problem
When constructed in 2011, the first 220 feet of the Bracken Preserve Bike/Hike Trail blocked vehicle and functional access to six land parcels. This action significantly diminished the value of these properties, effectively rendering them worthless. The trail's construction was done instead of the promised improvements to the existing road.


Brevard, NC - City Council Meeting October 6, 2025

Roy Ray Robinson addressing the Brevard city council regarding land access and fair compensation.
UPCOMING EVENT: Stay tuned to this space for updates!




A Short Story
Pinnacle Road aka Mackey Ridge Road has served as a vital access route for generations, with historical records dating back to 1892 showing continuous use by families like the Mackeys and Baileys. Multiple surveys and maps—from 1906 through 2025—confirm the road’s existence and alignment, supporting its role as a longstanding public right-of-way. Despite this, a 2006 survey commissioned by the City of Brevard introduced inaccuracies that obscured the historic roadbed, leading to eventual obstruction of access. Boulders, trees, and signage now block the path, undermining the City’s original promise to preserve pedestrian and vehicular access for all.
A "Not So" Short Story
Tap HERE to read more about the story of Bracken Blocks Us! as well as supporting documents highlighting ...
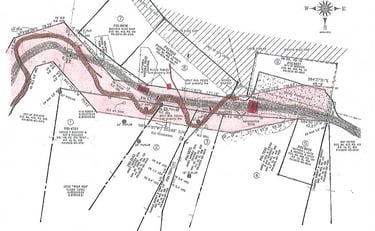
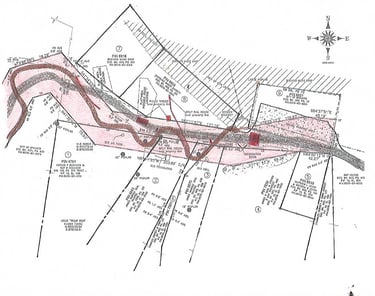
Historic Ownership & Road Origins (1892–1945)
Surveys Confirming Roadbed Continuity (1964–2008)
City Condemnation & Easement Controversy (2006–2008)
Modern Obstructions & Denied Access (2023–2025)
Our Proposed Solutions to Restore Access


The Promise...
The City of Brevard stated in its Declaration of Taking that it was “necessary and in the public interest that a public roadway be constructed” across the resident's properties to support “opening and improving public roads and rights of way,” and to create a right-of-way “for all vehicular and pedestrian travel.” The City emphasized that this access route would “provide ingress, egress and regress” between Pinnacle Road and its Bracken Creek property, ensuring that both the City and the public could reach the area by vehicle.


The Reality...
But rather than honor those promises, The City of Brevard removed the roadway and cut off vehicle access entirely. Opting instead to construct a hiking and biking trail that obscures the original Pinnacle (Mackey Ridge) roadbed with trees, boulders, signage and picnic areas. Curiously placed disabled parking now stands where the promised improved road would have begun. What was supposed to be a public benefit turned into a barrier. Residents who once had a clear route to their properties were left without the access they were told would remain. The commitment to transparency and community improvement was overshadowed by actions that contradicted the original intent—and left property holders feeling misled and excluded from the very project they were asked to support.








Our Proposed Solutions
Ideas for restoring full access and value to the affected land parcels, while simultaneously providing for the necessary easements and rights of way.


One Solution


A Better Solution
Abandon the existing, overly wide and randomly located right of way easement.
Establish a new right of way that matches the width of the existing Pinnacle Road right of way. A right of way that is aligned with the centerline of the existing roadbed of Pinnacle (Mackey Ridge) Road.
Actually "construct and improve a road" as promised for "all vehicular and pedestrian travel” aligned with, and on top of, the existing Pinnacle (Mackey Ridge) Road roadbed for use by property owners, hikers and bikers alike.
A road with an emergency turnaround could augment emergency access from Laurel Falls Road.
We're working on an even better solution that meets the needs of all parties involved. Stay tuned....
Legal Remedy
Because of inaction on the part of the City of Brevard, property owners have had no other choice but to pursue a legal remedy.




Help Us Restore Access

Photos
A photo gallery of the rights of way, historic roads and easements in question.































